


Helårsgrund
Havtornvej 3, st.9970 Strandby
450.000 kr.
Grunde UDEN byggepligt og tæt på strand sælges!
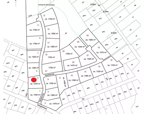
Nu sælges 25 skønne byggegrunde beliggende på Havtornvej i den nordlige del af Strandby. Udstykningen ligger tæt på bl.a. lækker sandbadestrand med klitter og Blåt Flag samt det hyggelige havnemiljø med både en fiskeri- og lystbådehavn.Grundene varierer i størrelse fra ca. 1.330 m² til ca. 1.785 m² og priserne starter ved kr. 395.000,00 inkl. tilslutningsbidrag til kloak, el og vand men eksl. tilslutningsbidrag til fx kabel-tv og fjernvarme.Der vil være mulighed for at få indlagt fjernvarme. Tilslutningsprisen inkl. stikledning vil i 2018 være kr. 30.000,00 inkl. moms.
Dage til salg
Så længe har boligen været til salg
Boligen på kort
Prisudvikling
Se prisudviklingen for denne bolig samt området, den ligger i. Dyk ned i historiske data og følg markedets udvikling, så du kan blive opdateret på tendenserne i området.
Boligens historie
Se tidslinjen for boligens historie på markedet.
2018
apr.
Udbudt til salg på boligsiden
450.000 kr.
2018
apr.
Udbudt til salg på boligsiden
450.000 kr.
Solgte boliger i området
| Navn | Pris | Boligtype | Størrelse | Salgsdato | m² pris | Afstand |
|---|
Boligen og grunden
Her finder du information om grunden, miljø-forhold og interessen for boligen – alt samlet for at give dig et komplet overblik.
Radonrisiko
Radonrisikoen vurderes til at være meget lav
Besøgsstatistik
Se udviklingen i visninger, klik til mægler og gemt af brugere i al boligens tid på markedet
- Visninger
- Klik til mægler
- Dag
- Uge
- Måned
Internetforbindelser
Offentlig vurdering
Se seneste vurdering, eller seneste foreløbige vurdering
Området
Der er 58.376 indbyggere i Frederikshavn Kommune. Kommuneskatten er på 26,2% og grundskyldspromillen på 13,4‰.
Udforsk Strandby
Skoler i Strandby, tæt på boligen
| Navn | Afstand | Trivsel | Karaktergns. |
|---|---|---|---|
| Strandby Skole | 825 m | 3,7 af 6.0 | 7,2 af 12 |
| Heldagsskolen | 4,9 km | Ikke oplyst | Ikke oplyst |
| Frydenstrand - Abildvej skoleafdeling | 5,4 km | Ikke oplyst | Ikke oplyst |