


Helårsgrund
Ålykkevej 4Solrød, 2680 Solrød Strand
2.995.000 kr.
Byg dit eget drømmehus i skønne Solrød Landsby
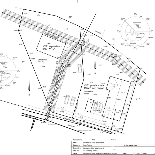
Unik og naturskøn byggegrund på hele 999 m², attraktivt beliggende i hjertet af Solrød Strand. Her får du en sjælden kombination af fred, natur, historie og bynærhed i én og samme pakke. Grunden rummer en byggetilladelse på op til 300 m², som giver rige muligheder for at skabe en eksklusiv familievilla, arkitekttegnet drømmebolig eller moderne liebhaverhjem. Naturskønt miljø med å og historisk kirke Langs grundens kant løber en stille å, som skaber en rolig og næsten eventyrlig stemning. På modsatte side af vandløbet ligger en gammel kirke, hvis klassiske arkitektur og rolige nærvær bidrager til en helt særlig atmosfære. Her bor du i et område, hvor fuglesang, rislende vand og lokalhistorie sætter rammen for et helt unikt hjemmemiljø. Kun få minutters gang til Solrød Strand Fra ejendommen er der 3 min. køretur til den smukke og populære Solrød Strand – en bred, børnevenlig sandstrand med klitter, badebroer og masser af plads til både afslapning og aktivt strandliv. Her kan du starte dagen med en morgendukkert, nyde udsigten over Køge Bugt eller gå lange ture på kyststien, der binder natur og by sammen. Tæt på byliv, letbaner og hverdagens bekvemmeligheder Solrød Center ligger kun få minutter fra adressen og byder på alt, hvad du skal bruge i det daglige: • Specialbutikker og supermarkeder • Caféer, spisesteder og små lokale oaser • Fitness, bibliotek og kulturtilbud • Nem adgang til Solrød Strand Station (S-tog) Med tog er der kun ca. 35 minutter til København, hvilket gør adressen oplagt for pendlere, som ønsker mere ro uden at gå på kompromis med tilgængelighed. Landsbystemning midt i kystnær bydel Ålykkevej er kendetegnet ved en rolig atmosfære, grønne omgivelser og en charmerende landsbystemning, som sjældent findes så tæt på strand og by. Her får du både natur og nabolag – en perfekt balance mellem privatliv og hverdagskomfort.
Dage til salg
Så længe har boligen været til salg
Boligen på kort
Prisudvikling
Se prisudviklingen for denne bolig samt området, den ligger i. Dyk ned i historiske data og følg markedets udvikling, så du kan blive opdateret på tendenserne i området.
Boligens historie
Se tidslinjen for boligens historie på markedet.
Januar
Udbudt til salg på boligsiden
5.795.000 kr.
2025
nov.
Udbudt til salg på boligsiden
2.995.000 kr.
2025
jul.
Solgt, alm. frit salg
3.995.000 kr.
Januar
Udbudt til salg på boligsiden
5.795.000 kr.
2025
nov.
Udbudt til salg på boligsiden
2.995.000 kr.
2025
jul.
Solgt, alm. frit salg
3.995.000 kr.
Solgte boliger i området
| Navn | Pris | Boligtype | Størrelse | Salgsdato | m² pris | Afstand |
|---|
Boligen og grunden
Her finder du information om grunden, miljø-forhold og interessen for boligen – alt samlet for at give dig et komplet overblik.
Radonrisiko
Radonrisikoen vurderes til at være meget lav
Besøgsstatistik
Se udviklingen i visninger, klik til mægler og gemt af brugere i al boligens tid på markedet
- Visninger
- Klik til mægler
- Dag
- Uge
- Måned
Internetforbindelser
BBR-oplysninger
Se flere oplysninger om boligen
Offentlig vurdering
Se seneste vurdering, eller seneste foreløbige vurdering
Området
Der er 24.579 indbyggere i Solrød Kommune. Kommuneskatten er på 24,99% og grundskyldspromillen på 7,9‰.
Udforsk Solrød Strand
Skoler i Solrød Strand, tæt på boligen
| Navn | Afstand | Trivsel | Karaktergns. |
|---|---|---|---|
| 10Solrød | 1,6 km | Ikke oplyst | Ikke oplyst |
| Uglegårdsskolen | 2,1 km | 3,7 af 6.0 | 7,8 af 12 |
| Munkekærskolen | 2,4 km | 3,7 af 6.0 | 7,6 af 12 |